Déluge au Soudan, au moins 134 personnes sont mortes,
plus de 200 ont été blessées et plus de 270 000 ont été touchées par de fortes pluies depuis le moi de mai ..
Les dommages aux infrastructures du pays sont importantes et ralentissent les efforts de secours

19.9/2022 Ukraine.
Une tornade d’intensité EF-2 près de la ville de Buryn région de Sumy,

Dubai: l’Apocalypse en marche
la grêle est tombée à Dubaï sous une chaleur de 40 degrés
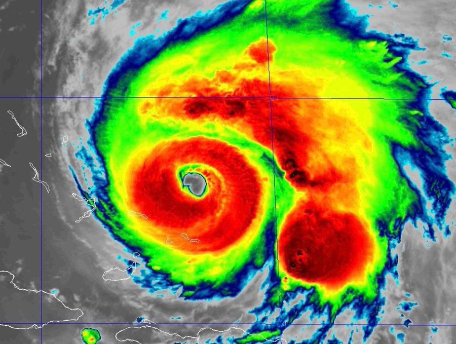
un nombre impressionnant de pays vit en ce moment même des déluges ( Indonésie , Colombie , Mexique , Pakistan , Hongrie , Croatie , Italie , Espagne , Soudan , Guadeloupe et Porto Rico ( ouragan Fiona ) Bulgarie , Japon ( Typhon Nanmadol ) , Ukraine , Russie etc…

L’ ouragan Fiona de catégorie 3 a fait de gros dégâts sur l’île de Porto Rico, générant notamment de graves inondations responsables de vastes pannes d’électricité. il est tombé 90 litres d’eau au m2

il poursuit son intensification et devrait atteindre la catégorie 4. Les Bermudes sont sous la menace. En fin de semaine, le système devrait s’échouer en Nouvelle-Écosse






Tornade dans le district de Shabalinsky de la région de Kirov, le 19 septembre 2022.
La largeur de la tornade peut être de 200 mètres ou plus.

